主站

广东多地发生海水倒灌!茂名两区通告:“五停”!

来源:羊场晚报
确定取消订阅
  • 取消
  • 确定
苏晓敏 小编
2025-10-05 17:26:23
订阅

广东多地发生海水倒灌

阳江海陵岛

受强台风“麦德姆”影响,广东阳江海陵岛螺洲公园附近出现海水倒灌,道路水浸。10月5日08时至11时,广东阳江海陵岛吉坑气象观测站录得12级阵风,三峡三期风电平台气象观测站录得最大阵风51.2米/秒(16级)。

湛江吴川大山江街道良美村

10月5日,受台风"麦德姆"影响,湛江吴川市大山江街道良美村发生海水倒灌。

湛江吴川覃巴镇梅楼村

10月5日,受台风"麦德姆"影响,湛江吴川市覃巴镇梅楼村发生海水倒灌,请大家注意远离危险区域,确保安全。

茂名两区通告:12时起“五停”!

刚刚,广东茂名滨海新区防汛防旱防风指挥部发布《关于在全区范围内实施“五停”措施的通告》:

电城镇、博贺镇三防指挥部,区三防指挥部各成员单位,全区广大干部群众:

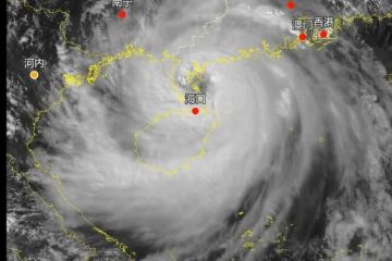
根据气象部门监测预报,台风“麦德姆”将于今天14时前后以强台风级(14到15级)在徐闻到湛江沿海登陆。

受其影响,今天白天到夜间,滨海新区将有大暴雨的降水过程最大阵风12到13级(海面阵风13到15级)。经会商研判,区三防指挥部决定自10月5日12时起在全区范围内实行“五停”措施(即:停课、停工、停产、停运、停业)。现将有关重点事项通知如下:

一、除承担抢险救灾和保障社会基本运行任务的单位和个人外,全区其他单位和个人一律执行“五停”措施。“五停”期间,请广大市民切勿随意外出。如遇危险,请拨打110、119、120等紧急救援电话求救。有紧急就医等应急出行需求的市民朋友,可随时拨打12345热线,我们将全力做好服务保障。

二、自10月5日12时起,全区中小学校、幼儿园、托儿所和培训机构停止线下教学、线下培训和野外教学活动,妥善安置转移相关人员。

三、自10月5日12时起,全区水上施工人员、高处作业人员及其他户外工作人员停止户外作业,全区所有在建工地施工人员停止施工。

四、自10月5日12时起,化工园区、各生产工厂、作坊等全面停止生产。东华能源等涉及连续性生产装置的特殊企业按照预案全面落实内部响应管理。

五、自10月5日12时起,所有道路车辆(抢险和指挥车辆除外)停止行驶,正在行驶中的车辆就近寻找安全位置后停驶,并做好紧急避险;水路交通、道路交通全部停运;对博贺湾大桥实施封闭管理。

六、自10月5日12时起,各类市场(含农贸市场)、商场、超市、餐饮场所、娱乐场所、公园、旅游景区等全面停止营业。

七、自10月5日12时起,全区范围内暂停外卖配送和快递收派服务;各外卖平台、快递公司严格落实停业要求,保障从业人员安全。

请各抢险救灾和民生保障单位,采取措施做好供水、供电、供气、交通、通信、民政、医疗防疫和主副食品供应等救灾救助准备工作。

当前,我区防台风形势非常严峻,请全区广大干部群众坚决按照省、市、区工作部署,自觉遵守政府及相关部门的工作部署和指令,最大限度减轻台风灾害影响!

随后,广东茂名市电白区人民政府防汛防旱防风指挥部发布关于防台风“五停”指令的通告:

全区广大干部群众:

据气象部门监测预报,今年21号台风“麦德姆”(强台风级)中心位于距离湛江麻章约116公里的海面上,中心附近最大风力14级,预计将向西偏北方向移动,强度变化不大,将于5日14时前后以强台风级在湛江至徐闻沿海登陆,对我区造成严重影响。

为全力保障人民群众生命财产安全,最大程度减少灾害损失,根据《茂名市电白区防汛防旱防风防冻应急预案》《茂名市台风、暴雨“五停”工作指引》,经会商研判,区三防指挥部决定自10月5日12时起在全区范围内实行“五停”措施(即:停课、停工、停产、停运、停业)。现将有关重点事项通知如下:

一、除承担抢险救灾和保障社会基本运行任务的单位和个人外,全区其他单位和个人一律执行“五停”措施。“五停”期间,请广大市民切勿随意外出。如遇危险,请拨打110、119、120等紧急救援电话求救。有紧急就医等应急出行需求的市民朋友,可随时拨打12345热线,我们将全力做好服务保障。各地开放避险庇护场所供群众避风避险。

二、自10月5日12时起,高等院校、职业学校、中小学校、幼儿园、托儿所和各类培训机构全面停课。请各寄宿制中小学校、幼儿园、托儿所(培训机构)有序安排学生回家。学校、户外培训机构应严格遵守停业规定,不得擅自开展任何教学、培训活动,同时提醒师生及家长做好安全防护。

三、自10月5日12时起,全区水上施工人员、高处作业人员及其他户外工作人员停止户外作业,全区所有在建工地施工人员停止施工。

四、自10月5日12时起,各类工业园区、生产基地、工厂、作坊等全面停止生产。涉及连续性生产装置的特殊企业按照预案全面落实内部响应管理。

五、自10月5日12时起,所有道路车辆(抢险和指挥车辆除外)停止行驶,正在行驶中的车辆就近寻找安全位置后停驶,并做好紧急避险;封闭高速公路;水路交通、道路交通全部停运。

六、自10月5日12时起,各类市场(含农贸市场)、商场、商业步行街、超市、餐饮场所、娱乐场所、交易场所、公园、旅游景区、会展等全面停止营业。

七、自10月5日12时起,全区范围内暂停外卖配送和快递收派服务;各外卖平台、快递公司严格落实停业要求,保障从业人员安全。

当前,我区防台风形势非常严峻,请全区广大干部群众坚决按照省、市、区工作部署,自觉遵守党委政府的工作部署,积极配合防风指令,做好防护措施,最大限度降低台风灾害影响!

16

推荐
评论
  • 可口c0k

    0
    举报

    10-06

    希望这次海水倒灌能早点过去,茂名的朋友们挺住,我们一起等待晴天!☀️

  • cchmis

    0
    举报

    10-06

    这天气变化莫测,大家要多注意安全哦,别让海水‘突袭’了!😂

  • 835869263

    0
    举报

    10-06

    看到‘五停’通告,感觉政府真的很给力,保护人民安全最重要!👍

  • 阿基米德龙

    0
    举报

    10-06

    哎呀,这海水倒灌可真是大自然的‘惊喜’啊,希望大家都平安无事,茂名加油!🌊

加载更多
4
取消 写评论 发送